Our Listings

Chester St, Arlington, Tn 38002


  • Created: Thursday, November 2, 2023
  • Updated:
  • N/A
  • bedrooms
  • bathrooms

Description

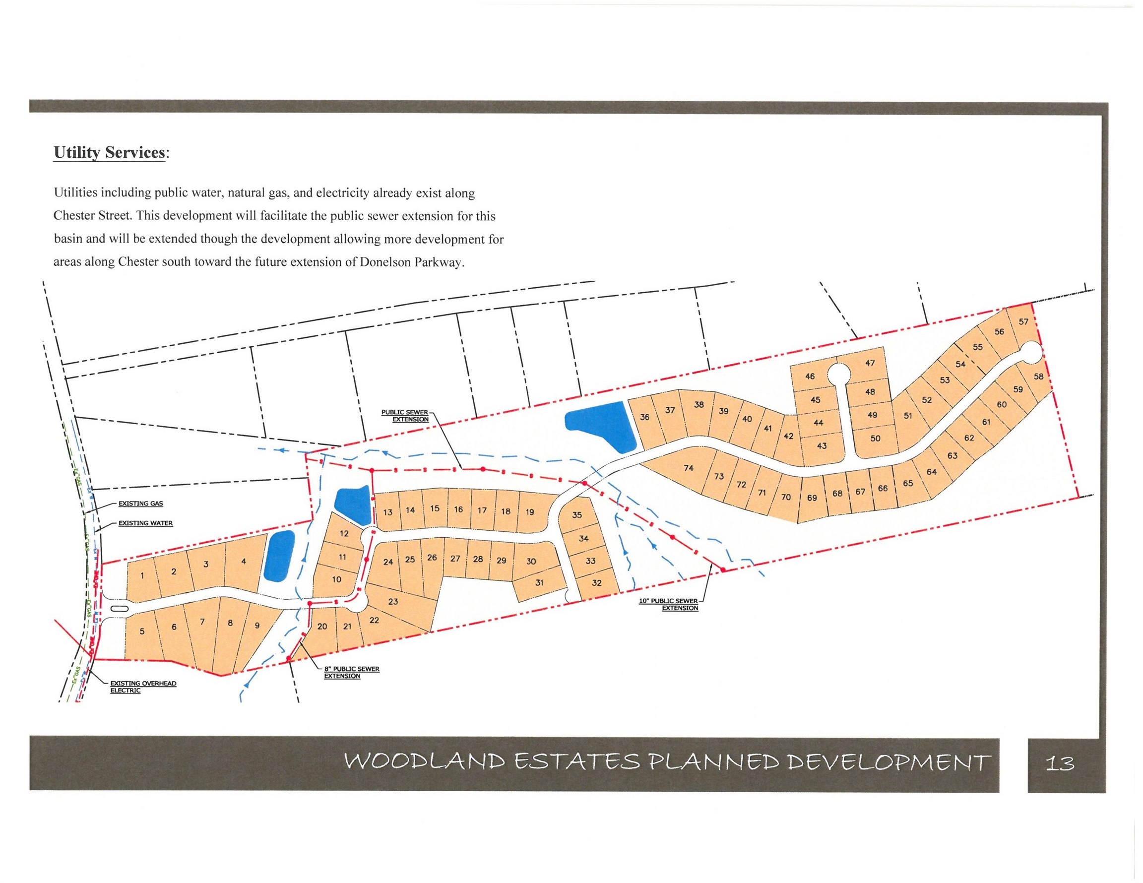
61 wooded acres. All utilities. Build your dream home or family compound. Property has been approved for a 74 lot subdivision. Great Arlington Location. You got so see it to believe it. No sign on property.

Property Amenities
Exterior Features
MLS Listing ID 10160088
Year Built
Lot Size N/A
Roof Type